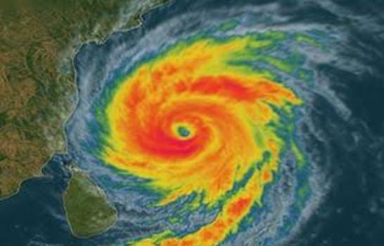
टीएनपी डेस्क(TNP DESK):पिछले 24 घंटे के दौरान झारखंड में मोथा तूफान ने काफी असर दिखाया. सबसे ज्यादा असर इसका पूर्वी सिंहभूम में देखने को मिला,जहां दोपहर 2:00 बजे के बाद गरज के साथ मुसलाधार बारिश हुई.जिससे अधिकतम तापमान में गिरावट दर्ज की गई है. वही मौसम पूरी तरह से ठंडा ठंडा कूल कूल हो गया है.यहीं हाल राजधानी रांची का भी रहा जहां दिन भर बादल छाए रहे तो वहीं हल्की फुल्की बारिश देखी गई लेकिन आज झारखंड के कुछ जिलों में भारी बारिश का अलर्ट जारी किया गया है.
आज इन जिलों के लोग रहें सावधान
झारखंड के जिन जिलों में ख़ास तौर पर लोगों को सावधान रहना है उन जिलों में रांची, गुमला, सिमडेगा, पश्चिमी व पूर्वी सिंहभूम, खूंटी, लातेहार व लोहरदगा शामिल है. इन जिलों के लोगों को आज खास तौर पर भारी बारिश से सावधान रहना है वहीं वज्रपात की भी संभावना इन जिलों में जताई गई है. किसानों को अलर्ट रहने के लिए कहा गया है.वही खेतों में लगे फसल को सुरक्षित स्थान पर रखने की सलाह दी गई है.कल की तरह आज भी खास तौर पर राजधानी रांची और पूर्वी सिंहभूम को लेकर अलर्ट है.
पिछले 24 घंटे में कोल्हान में बारिश ने मचाया कहर
वही कोल्हान प्रमंडल के पूर्वी सिंहभूम, पश्चिमी सिंहभूम, सरायकेला खरसावां, चाईबासा जिले की बात की जाए तो पिछले 24 घंटे के दौरन मौसम ने यहां खूब कहर बरपाया और तूफान का असर यहां देखा गया वहीं आज सुबह से ही यहां बादल छाए हुए है और हवा चल रही है. मौसम विभाग का कहना है कि आज भी पूर्वी सिंहभूम के लोगों को पूरी तरह से सावधान रहना है.
पिछले 24 घंटे में तीन डिग्री गिरा झारखंड का पारा
वही पिछले 24 घंटे के दौरान झारखंड के अधिकतम तापमान की बात की जाए तो अधिकतम तापमान में 3 डिग्री की गिरावट दर्ज की गई है.मौसम विभाग का पूर्वानुमान है कि आनेवाले अगले 24 घंटे के दौरन झारखंड के अधिकतम और न्यूनतम तापमान में एक-एक डिग्री की बढ़ोतरी होगी.आज झारखंड का अधिकतम तापमान 25 डिग्री सेल्सियस न्युनतम तापमान 21 डिग्री सेल्सियस आने की संभावना जताई गई है.
पढ़े अपने जिले का तापमान
राजधानी रांची के अधिकतम तापमान 25 डिग्री सेल्सियस और न्यूनतम तापमान 21 डिग्री सेल्सियस की संभावना है.जमशेदपुर में अधिकतम तापमान 29 डिग्री और न्यूनतम तापमान 26 डिग्री सेल्सियस रह सकता है.धनबाद में अधिकतम तापमान 28 डिग्री और न्यूनतम 24 डिग्री रहेगा. डाल्टनगंज में अधिकतम 28 डिग्री और न्यूनतम 23 डिग्री,जबकि देवघर में अधिकतम 29 डिग्री और न्यूनतम तापमान 23 डिग्री सेल्सियस,तो वहीं मेदिनीनगर का अधिकतम तापमान 28 डिग्री सेल्सियस तो न्यूनतम तापमान 23 डिग्री सेल्सियस रह सकता है.वहीं मैक्लूसकीगंज का अधिकतम तापमान 27 और न्यूनतम तापमान 22 डिग्री जा सकता है.
